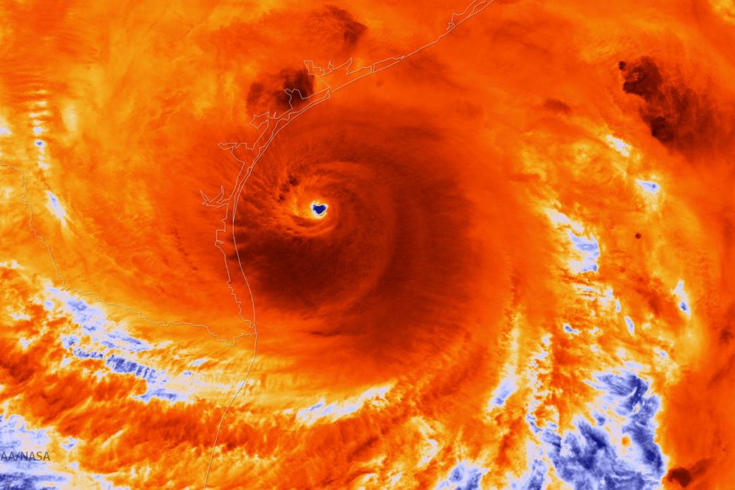
Photo of Hurricane Harvey by NOAA via Getty Images, August 25,2017
You don’t have to be too close to the eye of the storm to experience the wrath of a hurricane. Hurricane Harvey made landfall yesterday as the first category 4 hurricane to hit the United States since 2004, and continues to wreak havoc on the Great State. If you have family or friends living in Texas as I do, we can only hope they prepared or evacuated.
Two things are for certain, human-related activities have contributed to warmer seas and sea level rise, which in the first case contributes to more intense storms and hurricanes, and in the second, higher sea levels increase the volume of water in storm surges. So while hurricanes are not known to be caused by global warming, their impacts are known to become worse from it.
But how will global warming impact you personally? “Americans overwhelmingly believe that global warming is happening, and that carbon emissions should be scaled back. But fewer are sure that the changes will harm them personally. New data released by the Yale Program on Climate Communication gives the most detailed view yet of public opinion on global warming.”

The above chart shows that more than half of people in Texas believe global warming will impact them in their lives; but I wonder now, in the wake of this horrible storm if that percentage has gone up. Sending our thoughts and prayers to all those people living through Hurricane Harvey tonight. To support disaster relief efforts, please visit the American Red Cross.
If you’re new to Sustainability X, welcome! We will present solutions to the climate change crisis over the coming weeks and months, and how you can get involved. Please join our movement and follow us by clicking the link below!